X-Ray Information
Information for the drafting and evaluation of x-ray pictures.
Please send analogous x-ray pictures (HD, OC(D), ED) per post to Dr. Peter Schunk. Make sure that the Information below is written on the x-ray picture.
– Name des Hundes
(name of the dog)
– Rasse (DD)
(breed)
– Zuchtbuchnummer
(breeding number)
– Chipnummer
(microchip number)
– Datum der Röntgenaufnahme
(date when the x ray picture was taken)
The following information should also be available on the x-ray picture
– Wurftag
(date of birth)
– Geschlecht
(sex of the dog)
If you want to send digital x-ray pictures please use the Website www.myvetsxl.com.
Your veterinarian has to press the Menu Button: GRSK (upload new images and evaluating)
Do not send CD´s or DVD’s.
If you have problems with registration or login contact:
Veterinärmedizinisches Dienstleistungszentrum (VetZ) GmbH
Sattlerstraße 40
D-30916 Isernhagen
Telefon: +49 5136 9710 0
Telefax: +49 5136 9710 499
E-Mail: Info@myvetsxl.com
If the pictures are sent digitally, you have to fill out the HD, ED, OC(D) forms also and send them in the original with your signature and the signature of your veterinarian.
The fee for each evaluation:
38 Euro (HD), 38 Euro (OCD), 38 Euro (ED)
The money must be paid before the evaluation will be done
Bank Account: 202 828 359
BLZ: 783 600 00
IBAN: DE87 7836 0000 0202 8283 59
BIC: GENODEF1COS
You can also find the bank details on the forms. Please indicate the name and breed book number of the dog in the intended use.
If you have any further questions, please contact me by email or phone!
The forms to fill out you find under „Download Formulare“.
Sending by Post
Dr. Peter Schunk
Obere Rangenäcker 20
D – 96476 Bad Rodach/Heldritt
Tel. 09564 – 92 3 70
Fax 09564 – 92 37 37
E-Mail: info@kleintierpraxis-bad-rodach.de
Internet: www.kleintierpraxis-bad-rodach.de/
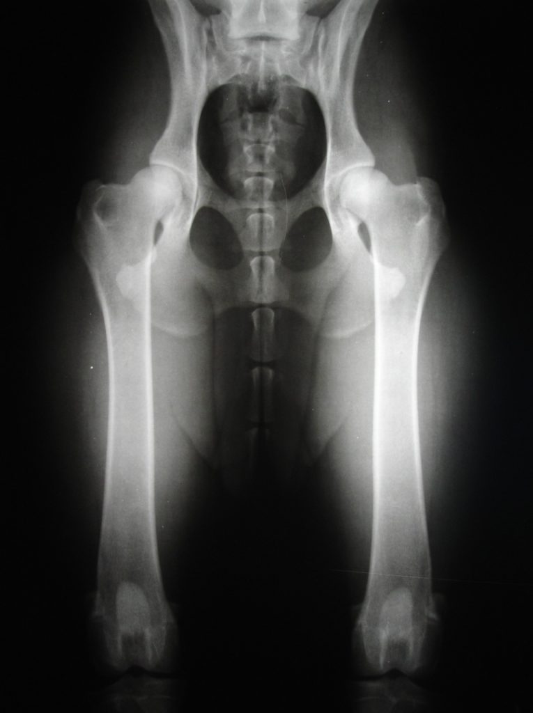
X-Ray HD positioning
High quality radiographs by proper positioning of the dog.

Each image must be labeled that uniquely identifies it. Every picture, like HD, ED, OC(D) must be made completely forgery proof.
X-Ray ED positioning
1. lateral view (latero-lateral)
Limbs angulation 45 degrees.
The joint must be pointed in x-ray machine’s central ray.
2. X-Ray picture cranio-caudale (The dog is lying on the chest).
Ideal would be if the outer lateral edge of the olecranon fit’s the outer lateral upper arm rim (Humerusrand).
The joint should be lay down reasonably in the middle of the x-ray cassettes (x-ray machine’s central ray). X-Ray without screen, that means the cassette will lay down on the table. It is recommended that the cassette size is 13 x 18 cm.

ED-cranio-caudal optimal

ED-latero-lateral optimal
Every picture, like HD, ED, OC(D) must be made completely forgery proof.
X-Ray OC(D) positioning
1. lateral view (latero-lateral)
Limbs angulation 45 degrees.
The joint must be pointed in x-ray machine’s central ray.
2. X-Ray picture cranio-caudale (The dog is lying on the chest).
Ideal would be if the outer lateral edge of the olecranon fit’s the outer lateral upper arm rim (Humerusrand). The joint should be lay down reasonably in the middle of the x-ray cassettes (x-ray machine’s central ray). X-Ray without screen, that means the cassette will lay down on the table. It is recommended that the cassette size is 13 x 18 cm.

a lateral view
Every picture, like HD, ED, OC(D) must be made completely forgery proof.
The joint schould be here also in the x-ray machine’s central ray. The x-raying leg is laying on the table and will be pulled in the front (kranial) and the upper leg will be pulled down (caudal). The head and the neck will be bent in the direction dorsal of the back. The joint space should be completely visible (the caudale proportion of the head of the humerus must be visible). X-Ray with screen, that means the cassette will be under the table. (The edge of the humerus must be clearly visible) It is recommended that the cassette size is 18 x 24 cm. A correct exposure is necessary for all pictures.